伊予の測量士トッポ話

(立場が変われば)

伊予の落ちこぼれ測量士

 伊予の調査士トッポ話1、2を読ませていただいて、調査士さんは苦労されているんだなと、感
銘を受けました。私たち測量士には、隣の芝はきれいに見えるもので、調査士さんに対して
は、うらやましい(報酬面その他)のが先に立って、業務の上での苦労はほとんど知りませんで
した。

 私たち測量士と調査士さんの業務は、似ているようで、ある部分では異なっていると思いま
す。第1に、測量屋は官公庁の委託を受け用地測量を行う訳ですから、最終的な決定権は官
公庁にあり、責任も官公庁にあるわけです。ですからある部分では、官公庁の言いなりのよう
な事も出てくるのです。このケースについて1つ事例をお話ししましょう。

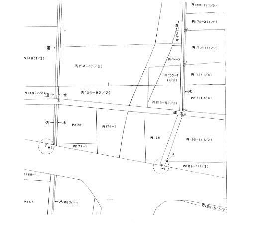
ある役所の委託で測量設計業務を行った時のことです。(下図参照)




 路線測量、道路詳細設計の後、これに付随して用地測量を行った時のことです。この役場で
は、役場の行う事業については、一筆地座標(当然平板測量の読み取り値)も国調図根点の
座標も提示してくれました。業務を委託された業者にしてはありがたい話です。これをもとに現
地調査したところ、国調図根点もしっかり残っており、ご丁寧に国調時に打ったという境界標
(プラ杭)まで残っていました。一応の確認をと思い境界再現してみるとどうでしょう。鋲2(バッ
ク)〜鋲1〔キカイ〕〜境界点Aの復元が50cmもずれるのです。(明らかに境界点Aは金属鋲1か
ら観測したであろうと思われるが。)そして境界点B以降を復元しても50〜70cmのずれがあっ
たわけです。

 ここで、調査士さんなら地図訂正等を考慮するのでしょうが、路線が長いため、すべての地
図訂正となれば、一帯の地図を作り直すというような事になってしまいます。

このことを役場に相談したところ、

A課長『当然国調時の杭があるんやから、用地測量はこの杭でするのが本当やろ。』
B係長『課長のおっしやるのはわかるし、そうするのが本当なのでしょうが国調の実施機関が
    国調データを否定するようなことはできないでしょうが・・。』
A課長『それもそうだけど、国調の時の杭が残っとるのに、地権者に説明できんじやろ。』
B係長『ほんなら国調した意味がないでしょう。これからどうするんですか?』
A課長『今回の場合は杭も残っとるし・・。』
B係長『それやったら、これからは担当者は仕事できんなりますよ!!』
A課長『違っているのがわかっているのに、そのままやるのはなあ・・。』
B係長『事業の度に、国土調査が間違っていました、訂正します言うて、直しとったら、どんどん
    仕事量が増えるし、どこまで行ってもきりがない事になりますよ。
    そんなにしとったら、事業の予算なんかすぐに無くなりますよ。おまけに、折角やった国
    土調査の信用が無くなるし・・』
A課長『ほうじやなあ・・』

しばらくの沈黙があり、

A課長『ほんなら地権者に話してみて、納得してくれたら、立木の補償にでもいろつけてしょう
    か。』
B係長『そうでもしてもらわんと、これからの仕事が進まん様になるけんね。』

この両者の意見の違いが、なかば大喧嘩になる寸前で、結局B係長の案で業務を行うこととな
りました。 私たち測量屋はそれに従うほかないのです。

 お互いの言い分はわからないでもない。A課長の言い分は正論であろうし、B係長の言い分
もわからぬでもない。

 実際、この役場のデータで【B錯誤、国調による成果】ということで、個人の財産の根拠であ
る登記簿の地積を訂正しているのだから。(この間題は、調査士さんや個人の立場になると、
誤りが解ったら速やかに訂正すべきだ、そのままほおっておけば、問題を先送りにして、少しも
解決にならないという考えになるのですが、立場が変わるとこういう事になるのです。)

最終的には、このときの買収面積の差分は立木の補償で支払ったらしい。

このケースのように問題として取り上げてくれる場合はまだしも、極端な場合、

『国調復元したらもめるもとだし、事業が進まなくなるのでやめてくれ』

 こうなってはお手上げです。
 このような場合、境界確認書は
【境界は現地で確認の上相違ありません】
 の文面が
【境界は国調図面の通りで相違ありません】
となるわけです。

 現に愛媛県の某地方局管内では【国調地域は国調の復元を行って立会して下さい】と新たに
指示があったのはこの最近ですから・・。

 すべてがそうではありませんが、こういったケースも多々あると思います。実際、図上分筆と
いわれるものの中には、こういう事情が含まれているのではないでしょうか。

 また、もう1点、私たち測量屋と調査士さんの異なることがあります。
 それは、調査士さんの測量は1筆単位のものが大半でしょうが、私たち測量屋の用地測量と
いえぼ、路線で行う場合がほとんどで、中には数kmにおよぶ場合もあります。もともと、国調実
施時の図根点の精度といえば、閉合差数十cmというものもザラで、そんな精度の図根点を使
ってしかも平板測量で行ったものですから、長い路線を復元したら、当然誤差の範囲で収まる
ところもあれば、それをオーバーするところも出てくるのは当然であろう。
 この場合も調査士さんなら地図訂正等を考慮するのでしょうが、数kmの地図訂正はこれまた
不可能に近いのではないでしょうか。
 このような場合、しかたなく境界点間の距離の按分で分筆線を入れたとすると、たとえまっす
ぐな道路でも国調の図面上はまがりくねってしまうわけです。



 調査士さんが1筆地の境界点1点1点にかなり慎重にされているのに対して、測量屋は路線
全体で考えて作業を進めている違いがあるのではないでしょうか。

 本来、個人の土地の境界ですから、1筆1筆を慎重に考えるべきでしょうが、そうなると、路線
測量するたびに一帯の地図を作り直すことになるのです。

 片や官庁からの依頼。片や個人の財産を守るため、お互いの立場が相違すると、いろいろ
矛盾が生じます。このように一概に調査士さんと測量屋の業務をすべて対比させるのは難しい
のですが、双方の業務内容等を十分把握する事で最もBe t t e rな用地測量が行えるのでは
ないでしょうか。

 我々測量屋も一筆地の境界の大切さは十分わかってはいますが、路線全体として処理する
性質上、やむを得ず日をつぶり、事業を優先せざるを得ない場合があるのです。

 調査士さんにもこのように路線としての業務については、こういった事情であると理解してい
ただいたらと思います。



国土調査地区の話
前のページ


トップへ
トップへ
戻る
戻る